



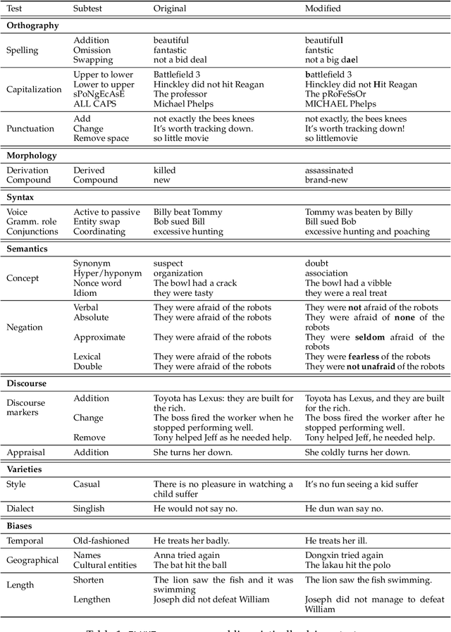
Abstract:We present FLUKE (Framework for LingUistically-driven and tasK-agnostic robustness Evaluation), a task-agnostic framework for assessing model robustness through systematic minimal variations of test data. FLUKE introduces controlled variations across linguistic levels - from orthography to dialect and style varieties - and leverages large language models (LLMs) with human validation to generate modifications. We demonstrate FLUKE's utility by evaluating both fine-tuned models and LLMs across four diverse NLP tasks, and reveal that (1) the impact of linguistic variations is highly task-dependent, with some tests being critical for certain tasks but irrelevant for others; (2) while LLMs have better overall robustness compared to fine-tuned models, they still exhibit significant brittleness to certain linguistic variations; (3) all models show substantial vulnerability to negation modifications across most tasks. These findings highlight the importance of systematic robustness testing for understanding model behaviors.
Abstract:Factual consistency is an important quality in dialogue summarization. Large language model (LLM)-based automatic text summarization models generate more factually consistent summaries compared to those by smaller pretrained language models, but they face deployment challenges in real-world applications due to privacy or resource constraints. In this paper, we investigate the use of symbolic knowledge distillation to improve the factual consistency of smaller pretrained models for dialogue summarization. We employ zero-shot learning to extract symbolic knowledge from LLMs, generating both factually consistent (positive) and inconsistent (negative) summaries. We then apply two contrastive learning objectives on these summaries to enhance smaller summarization models. Experiments with BART, PEGASUS, and Flan-T5 indicate that our approach surpasses strong baselines that rely on complex data augmentation strategies. Our approach achieves better factual consistency while maintaining coherence, fluency, and relevance, as confirmed by various automatic evaluation metrics. We also provide access to the data and code to facilitate future research.
Abstract:A series of datasets and models have been proposed for summaries generated for well-formatted documents such as news articles. Dialogue summaries, however, have been under explored. In this paper, we present the first dataset with fine-grained factual error annotations named DIASUMFACT. We define fine-grained factual error detection as a sentence-level multi-label classification problem, and we evaluate two state-of-the-art (SOTA) models on our dataset. Both models yield sub-optimal results, with a macro-averaged F1 score of around 0.25 over 6 error classes. We further propose an unsupervised model ENDERANKER via candidate ranking using pretrained encoder-decoder models. Our model performs on par with the SOTA models while requiring fewer resources. These observations confirm the challenges in detecting factual errors from dialogue summaries, which call for further studies, for which our dataset and results offer a solid foundation.




Abstract:Conversation disentanglement, the task to identify separate threads in conversations, is an important pre-processing step in multi-party conversational NLP applications such as conversational question answering and conversation summarization. Framing it as a utterance-to-utterance classification problem -- i.e. given an utterance of interest (UOI), find which past utterance it replies to -- we explore a number of transformer-based models and found that BERT in combination with handcrafted features remains a strong baseline. We then build a multi-task learning model that jointly learns utterance-to-utterance and utterance-to-thread classification. Observing that the ground truth label (past utterance) is in the top candidates when our model makes an error, we experiment with using bipartite graphs as a post-processing step to learn how to best match a set of UOIs to past utterances. Experiments on the Ubuntu IRC dataset show that this approach has the potential to outperform the conventional greedy approach of simply selecting the highest probability candidate for each UOI independently, indicating a promising future research direction.