University of Waterloo




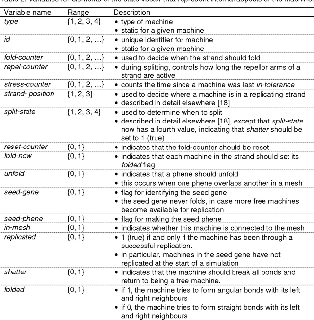
Abstract:It has been argued that a central objective of nanotechnology is to make products inexpensively, and that self-replication is an effective approach to very low-cost manufacturing. The research presented here is intended to be a step towards this vision. In previous work (JohnnyVon 1.0), we simulated machines that bonded together to form self-replicating strands. There were two types of machines (called types 0 and 1), which enabled strands to encode arbitrary bit strings. However, the information encoded in the strands had no functional role in the simulation. The information was replicated without being interpreted, which was a significant limitation for potential manufacturing applications. In the current work (JohnnyVon 2.0), the information in a strand is interpreted as instructions for assembling a polygonal mesh. There are now four types of machines and the information encoded in a strand determines how it folds. A strand may be in an unfolded state, in which the bonds are straight (although they flex slightly due to virtual forces acting on the machines), or in a folded state, in which the bond angles depend on the types of machines. By choosing the sequence of machine types in a strand, the user can specify a variety of polygonal shapes. A simulation typically begins with an initial unfolded seed strand in a soup of unbonded machines. The seed strand replicates by bonding with free machines in the soup. The child strands fold into the encoded polygonal shape, and then the polygons drift together and bond to form a mesh. We demonstrate that a variety of polygonal meshes can be manufactured in the simulation, by simply changing the sequence of machine types in the seed.
Abstract:JohnnyVon is an implementation of self-replicating machines in continuous two-dimensional space. Two types of particles drift about in a virtual liquid. The particles are automata with discrete internal states but continuous external relationships. Their internal states are governed by finite state machines but their external relationships are governed by a simulated physics that includes Brownian motion, viscosity, and spring-like attractive and repulsive forces. The particles can be assembled into patterns that can encode arbitrary strings of bits. We demonstrate that, if an arbitrary "seed" pattern is put in a "soup" of separate individual particles, the pattern will replicate by assembling the individual particles into copies of itself. We also show that, given sufficient time, a soup of separate individual particles will eventually spontaneously form self-replicating patterns. We discuss the implications of JohnnyVon for research in nanotechnology, theoretical biology, and artificial life.




Abstract:JohnnyVon is an implementation of self-replicating automata in continuous two-dimensional space. Two types of particles drift about in a virtual liquid. The particles are automata with discrete internal states but continuous external relationships. Their internal states are governed by finite state machines but their external relationships are governed by a simulated physics that includes brownian motion, viscosity, and spring-like attractive and repulsive forces. The particles can be assembled into patterns that can encode arbitrary strings of bits. We demonstrate that, if an arbitrary "seed" pattern is put in a "soup" of separate individual particles, the pattern will replicate by assembling the individual particles into copies of itself. We also show that, given sufficient time, a soup of separate individual particles will eventually spontaneously form self-replicating patterns. We discuss the implications of JohnnyVon for research in nanotechnology, theoretical biology, and artificial life.